Premium New development
Back to results

Property for sale

Kiti, Larnaca, Cyprus

£1,964,379 *  [€2,250,000]

Property for sale

Kiti, Larnaca, Cyprus

£1,964,379 *  [€2,250,000]

Property Details


  • Bedrooms: 0
  • Bathrooms: 0

Full Description


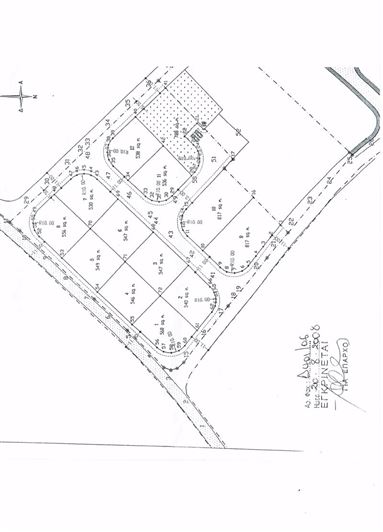
Twelve Plots of Land For Sale in Kiti with Land Deeds

This bundle of plots is situated in a quiet residential area of Kiti, comprising of main road access, street lighting, pavements with drop curbs and utilities are in place. The plots come in various sizes - Ten of them are 500 m2 +, and the other two are 817 m2. This off plan option would allow for a great investment opportunity with the plots being so close to Kiti town centre, walking distance to local shops, amenities, bars an restaurants. Ideal potential to build some perfect family sized homes or perfect touristic accommodation.

Please note that approval is in place to build 26 villas on the 12 plots.

- Total plot size 7086 m2

- Plot sizes between 500 m2 - 817 m2

- Planning zone H2 - Residential Area

- Build density 90%

- Coverage 50%

- Height allowance 8.3 m (2 floors)

- 1 minutes to local shops and amenities

- 10 minutes to local sea and beach

- 5 minutes to Larnaca International Airport

- Subject to VAT

Kiti

Kiti is found about 11 kilometres south-west of Larnaca. Villagers grow Vegetables, cereals, and a few fruit-trees are cultivated in the region.

The small distance between Kiti and Larnaca, the good road connection and its remarkable development in agriculture contributed to its rapid population growth.

The main village square which was recently revamped during a three-year project, has cafes, restaurants and a Museum of Culture. The unique church of "Panagia Aggeloktisti" houses a very rare 6th century mosaic of the Virgin and Child between two archangels, and is under the protection of UNESCO.

The proposed marina will be in the Softades beach area which is also the island’s first and only designated beach for wind and kite surfing, and offers some of the best sea and wind conditions in the whole of the Mediterranean region. There are kite surfing schools/clubs located there if you fancy giving it a try.
Read more

Map may not show exact location

This property listing (ref: 11808347) is an advertisement supplied by Cyprus Emerald and does not constitute property particulars. While aplaceinthesun.com (APITS Ltd.) requests all advertisers supply correct details, it does not carry out checks on the information supplied and cannot be held responsible for any inaccuracies. Aplaceinthesun.com recommends seeking independent legal advice prior to any overseas property purchase.
*Based on an exchange rate of 0.8731 from Euro to GBP. This rate is updated daily and is an indicative market rate supplied by A Place in the Sun Currency. Actual trading rates vary.